Qidiruv natijasi "Yamayka"

Kongo 52 yillik tanaffusdan keyin mundial ishtirokchisiga aylandi

O‘zbekistonning JCHdagi raqibi aniq: Kongo 120 daqiqa davom etgan bahsda Yamaykadan ustun keldi

O‘zbekistonning JCHdagi raqibi Fransiyaga mag‘lub bo‘ldi

O‘zbekistonning JCHdagi raqibi aniqlanmoqda: Kongo finalda Yamayka bilan o‘ynaydi

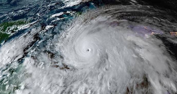
Yamaykada asr bo‘roni sabab halokatli epidemiya avj oldi

“Melissa” bo‘roni qurbonlari soni qariyb 50 taga yetdi

Yamaykaga asrning eng kuchli bo‘roni yopirildi (video)